Muskie Discussion Forums
| ||
| Moderators: Slamr | View previous thread :: View next thread |
| Jump to page : 1 Now viewing page 1 [30 messages per page] Muskie Fishing -> General Discussion -> Bait anyone? |
| Message Subject: Bait anyone? | |||
| jerryb |
| ||
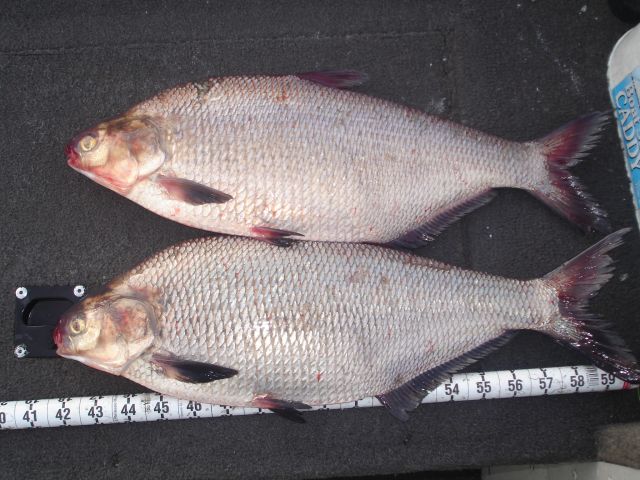
Posts: 688 Location: Northern IL | Nice hu? Attachments ---------------- shad.jpg (61KB - 122 downloads) | ||
| ToddM |
| ||
Posts: 20281 Location: oswego, il | Jerry it occurs to me that you can catch anything on a spoon plug! Wow, thems big shad. | ||
| Steve Van Lieshout |
| ||
Posts: 1916 Location: Greenfield, WI | Are those shad or mooneyes? | ||
| Big Perc |
| ||
Posts: 1188 Location: Iowa | Hmmm....big baits....so I am not so crazy after all... Big Perc | ||
| muskyboy |
| ||
| Jerry, very nice example of large forage. Nice finally meeting you at one of our club meetings too. Steve | |||
| ToddM |
| ||
Posts: 20281 Location: oswego, il | SVL, we have caught mooneyes on the mississippi before, they have much bigger mouths. Thems big shad. | ||
| Pointerpride102 |
| ||
Posts: 16632 Location: The desert | Wow....fillet them up and drop into the frier! Mike | ||
| C.Painter |
| ||
Posts: 1245 Location: Madtown, WI | If it swims...Jerry catches it. Am I going to see you up on the chain this year Jerry!? Cory | ||
| dogboy |
| ||
Posts: 723 | those are moonys! | ||
| jerryb |
| ||
Posts: 688 Location: Northern IL | I don't know what the hill they are, I heard they were huge gizzards. Haven’t been to da chain for 4-5 years but Dad says he wants a sticker, so maybe. Edited by jerryb 3/21/2006 5:36 PM | ||
| MuskieMike |
| ||
Location: Des Moines IA | They look like Shad to me. I actually thought they were Shabbona shad at first glance. I have heard about mooneyes, but never really knew anything about them. I figured "mooneye" was just another term for walleyes. Guess I was way off. They don't look very tasty to me. If they're anything like shad my guess is they stink too. So what exactly is a mooneye, and what geographical region are they usually located in? | ||
| davej |
| ||
Posts: 216 | Those are big gizzard shad. They make good catfish bait. | ||
| sorenson |
| ||
Posts: 1764 Location: Ogden, Ut | They look like shad to me. A mooneye will have a more terminal mouth (and a bit larger), a gizzard shad is smaller and sub-terminal as shown. Shad also have that pink tinge to them after handling as they are pretty fragile and hemorrhage slightly. The eye on the mooneye will look disproportionaly large as compared to the head also. What would be the definitive characteristic cannot be determined from the picture, that being if there are teeth on the tongue - then it would be a mooneye. Sorno | ||
| lambeau |
| ||
| looks like shad to me, same as in one of my local lakes. imagine thousands and thousands of these schooling around down there. Attachments ---------------- Shad 002.jpg (173KB - 118 downloads) | |||
| Perfect Drift |
| ||
Posts: 155 | Shad has a black spot and are more silvery.I,d go with mooneye..Final answer | ||
| sworrall |
| ||
Posts: 32958 Location: Rhinelander, Wisconsin | There are several color variations in the different shad 'subspecies' (corect word?) . | ||
| MuskyHopeful |
| ||
Posts: 2865 Location: Brookfield, WI | I'm pretty sure they're not anchovies or sardines. If you're going to to put them on a pizza or in a Caesar salad, I would dice them up a bit. Use small pieces with capers in a red sauce and you have Puttanesca, or fry skin on filets in hot olive oil, sprinkle with kosher salt, and drizzle with lemon juice. I think a Pinot Grigio would be a good compliment. Italians love bait fish. Kevin Italian cooking can be simple. Include the freshest ingredients available in your menu plan. | ||
| esox50 |
| ||
Posts: 2024 | I'm gonna go with Sorenson since he does this kind of stuff for a living (if I'm not mistaken). Attachments ---------------- shad.jpg (61KB - 98 downloads) mooneye.jpg (43KB - 122 downloads) | ||
| Pointerpride102 |
| ||
Posts: 16632 Location: The desert | Definately a shad. Mike | ||
| Jump to page : 1 Now viewing page 1 [30 messages per page] |
| Search this forum Printer friendly version E-mail a link to this thread |


Copyright © 2026 OutdoorsFIRST Media |